
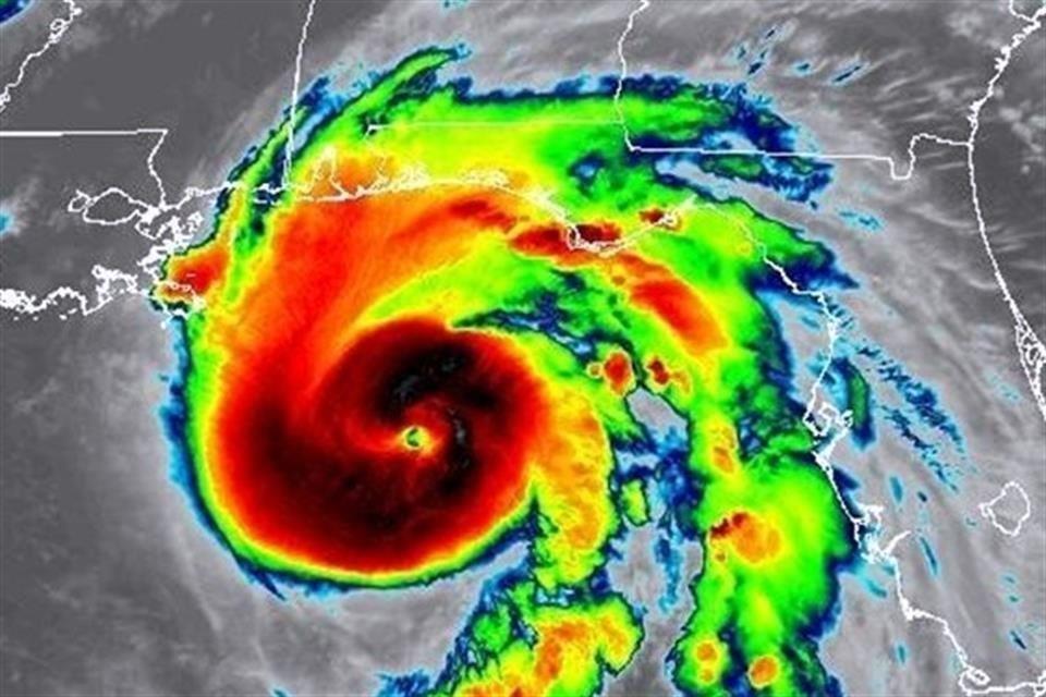
El Servicio Meteorológico Nacional (SMN) informó que Michael ya es huracán categoría 4, su centro se localiza al norte de la Península de Yucatán y continúa alejándose de costas nacionales.
En el más reciente aviso emitido por el organismo dependiente de la Comisión Nacional del Agua (Conagua) informó que el sistema se ubica a 275 kilómetros al suroeste de Apalachicola, Florida, Estados Unidos y a 675 kilómetros al norte de Cabo Catoche, Quintana Roo.
El fenómeno natural registra vientos sostenidos de 210 kilómetros por hora y rachas superiores a 260 kilómetros por hora, con desplazamiento hacia el norte a 19 kilómetros por hora.
Además, su circulación favorece el potencial de lluvias en el norte de la Península de Yucatán.
Imagen de Fenómenos #Meteorológicos Significativos de las 06:00 horas en: https://t.co/IulA5q4PYs pic.twitter.com/g2H5bEbO1R
— CONAGUA Clima (@conagua_clima) October 10, 2018
Por ello el Meteorológico Nacional alertó a la población en general a extremar precauciones en las zonas de los estados mencionados por lluvias, viento y oleaje (incluyendo la navegación marítima) y atender las recomendaciones emitidas por las autoridades del Sistema Nacional de Protección Civil, en cada entidad.
Mientras que el Centro Nacional de Huracanes (NHC) de Estados Unidos alertó en su último boletín que la fuerza de Michael supone una situación de peligro mortal.
Se espera que la tormenta toque tierra esté miércoles en Florida y que el jueves atraviese el sureste de Estados Unidos en dirección noreste hasta volver a salir al Océano Atlántico el viernes.
El gobernador de Florida, Rick Scott, advirtió que Michael podría ser la tormenta más devastadora que haya afectado al estado en décadas y pidió a la gente estar preparada.
Scott pidió a la gente evacuar lo más pronto posible y buscar un refugio.
WATCH NOW: Florida Governor Rick Scott gives update on #HurricaneMichael, now a Category 4 storm, as state prepares for a direct hit. https://t.co/4VC6rjqjFc pic.twitter.com/VcLfkCZhJm
— CBS News (@CBSNews) October 10, 2018
El gobernador dijo que durante la tormenta los equipos de rescate no podrán asistir a la gente porque “es muy peligroso”.
Michael pasó de ser una depresión tropical durante el fin de semana, a la tormenta más potente que registre la historia para este tramo de la costa de Florida, con vientos destructivos, 30 centímetros de lluvia y una marejada ciclónica de hasta cuatro metros.
Las autoridades de Florida dijeron que unas 500 mil personas tienen orden de evacuar la costa del golfo. La medida abarca 22 condados desde el Panhandle hasta el centro norte del estado. Pero los temores persisten porque algunos no atendieron a los llamados oficiales cuando el meteoro comenzó a avanzar hacia el norte sobre las aguas del golfo.
Con información de Notimex