
El huracán Bud se degradó a categoría 3 este martes, luego de que se convirtiera en categoría 4, de acuerdo con el Servicio Meteorológico Nacional (SMN).
Sus bandas nubosas favorecen potencial de lluvias intensas a puntuales torrenciales en Jalisco y Colima, y puntuales intensas en Sinaloa, Nayarit, Guanajuato y Michoacán, sin embargo, se mantiene zona de vigilancia desde Michoacán hasta Nayarit.
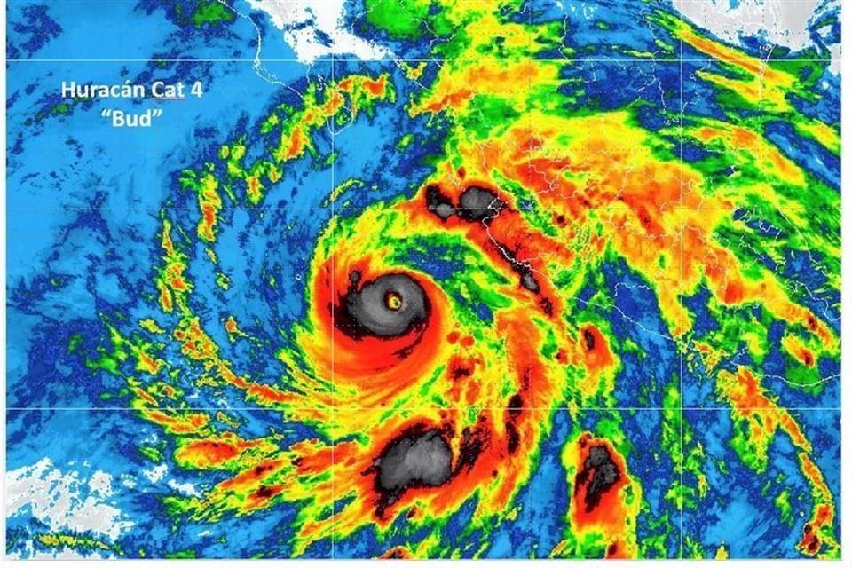
En su aviso de Ciclón Tropical, el meteoro se ubica a 360 kilómetros al suroeste de Cabo Corrientes, Jalisco, y a 270 kilómetros al este de Isla Socorro, Colima, se desplaza al noroeste a nueve km/h, con vientos máximos sostenidos de 205 km/h y rachas de 250 km/h. Su diámetro del ojo del huracán es de 37 kilómetros.
A su paso, Bud genera tormentas intensas a puntuales torrenciales en Jalisco (sur y costa) y Colima; y tormentas muy fuertes con puntuales intensas en Michoacán (sur y costa), Sinaloa (sur), Nayarit (oriente y sur) y Guanajuato (sur y occidente).
Rachas de viento de 60 a 80 km/h y oleaje elevado de 3 a 5 m en las costas de Michoacán, Colima y Jalisco, además de oleaje de 2 a 3 m en las costas de Nayarit y Baja California Sur.
#SMNmx A las 10:00 horas, tiempo del centro de #México #Bud es #Huracán categoría 3 en la escala de Saffir-Simpson. Para más información consulta la siguiente liga: https://t.co/WZFRFOavzJ pic.twitter.com/532X6J7R6K
— CONAGUA Clima (@conagua_clima) June 12, 2018
Ante ello, se pide extremar precauciones a la población en general en las zonas de los estados mencionados por lluvias, viento y oleaje (incluyendo la navegación marítima) y atender las recomendaciones emitidas por las autoridades del Sistema Nacional de Protección Civil, en cada entidad
Este martes se espera que los desprendimientos del huracán Bud generaran cielo nublado la mayor parte del día con lluvias o lloviznas, así como bancos de niebla o neblina en zonas altas de la Ciudad de México, informó el Servicio Meteorológico Nacional (SMN).
Mientras que por la tarde se prevén tormentas puntuales fuertes acompañadas de descargas eléctricas y granizo en la Ciudad de México y en el Estado de México.
Mapa #trayectoria del #HuracánBud del Oceano Pacífico pic.twitter.com/0UA5QNurvO
— CONAGUA Clima (@conagua_clima) June 12, 2018
El reporte del organismo dependiente de la Comisión Nacional del Agua (Conagua), también pronosticó que en el municipio de Texcoco y en el Aeropuerto Internacional Benito Juárez de la Ciudad de México, predominará cielo nublado con potencial para lluvias y tormentas puntuales fuertes acompañadas de descargas eléctricas.
En la Ciudad de México se registrará este martes una temperatura máxima de 23 a 25 grados centígrados y una mínima de 13 a 15 grados centígrados, con viento del este y noreste 10 a 25 kilómetros por hora y rachas que pueden superar los 40 kilómetros por hora en zonas de tormenta.