Home
>
Video: Vea toda la potencia de Patricia cuando tocó tierra en México
Video: Vea toda la potencia de Patricia cuando tocó tierra en México
1 minuto de lectura

Video: Vea toda la potencia de Patricia cuando tocó tierra en México

24 de octubre, 2015
Por: Manu Ureste
@ManuVPC 

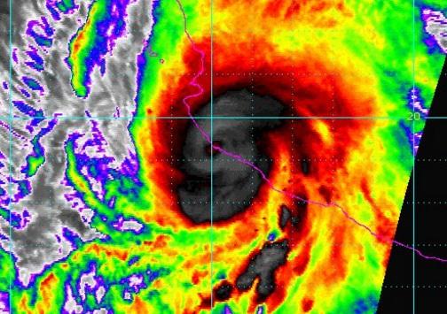
El huracán Patricia, el más potente que jamás se haya registrado en el continente, tocó tierra en el estado de Jalisco, en el occidente de México.

Los vientos alcanzaron más de 320 kilómetros por hora y trajeron consigo lluvias torrenciales.

Los canales locales mostraron el impacto que tuvo el huracán en la costa mexicana.

Aunque hubo árboles caídos y algunos deslaves, el temor de una catástrofe parece haberse evitado.

Sin embargo, el presidente Enrique Peña Nieto instó a la población a mantenerse alerta porque “lo peor está por venir”.

Lea: El huracán Patricia pierde fuerza pero amenaza con dejar lluvias torrenciales en México

Etiquetas:
BBC
huracan patricia
video
Iniciar sesión

Registrate
Suscribete para comentar...
Imagen BBC