
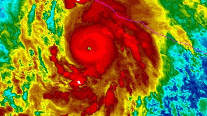
[contextly_sidebar id=”h5L43n9QJQxbbasuIWdjQN9wlK4VPvJc”]Este viernes por la tarde la costa oeste de México espera la llegada del huracán Patricia.
Si toca tierra, tal como está previsto, las consecuencias podrían ser catastróficas, según el Centro Nacional de Huracanes de Estados Unidos, con sede en Miami, Florida.
¿Pero cómo se forman estos poderosos torbellinos?
BBC Mundo te lo explica en seis pasos.
1. Tormentas acumuladas

Los huracanes se forman cuando una serie de tormentas eléctricas se acumulan y se desplazan sobre aguas oceánicas cálidas. En el Océano Atlántico y el este del Pacífico se les llama huracanes, en la Bahía de Bengala y en el Océano Índico se les conoce como cliclones.
2. Elevación

El aire cálido de la tormenta y de la superficie oceánica se combinan y comienzan a elevarse. Esto genera baja presión en la superficie del océano.
3. Giro
Image copyrightAPLos vientos que circulan en direcciones opuestas hacen que la tormenta comience a girar. La elevación del aire cálido hace que la presión disminuya a mayor altitud.
4. Baja presión
Image copyrightAPEl aire se eleva cada vez más rápido para llenar este espacio de baja presión, atrayendo a su vez más aire cálido de la superficie del mar y absorbiendo aire más frío y seco hacia abajo.
5. Velocidad
Image copyrightAPA medida que la tormenta se va desplazando sobre el océano, va absorbiendo más aire húmedo y cálido. La velocidad del viento aumenta a medida que el aire va siendo chupado por el centro de baja presión. Pueden pasar horas o varios días hasta que la depresión se convierte en huracán.
6. Ojo

Los huracanes están formados por un ojo o centro de vientos calmos rodeados de una banda nubosa de fuertes vientos y tormentas con pesadas precipitaciones.
Categorías y daños
Cuando toca tierra, el impacto de un huracán suele ser severo.
La escala de Saffir-Simpson fue creada para medir la fuerza de los huracanes en el continente americano y se utiliza cada vez más para categorizar ciclones y tifones, aunque algunas regiones utilizan otras escalas.
La categoría nos da una indicación de los daños que puede causar.
Image copyrightGettyCategoría 1 (entre 119 km por hora y 153 km/h)
- Inundaciones menores
- Daños estructurales leves
- Crecida: entre 1,2 metros y 1,5 metros más de lo normal
Categoría 2 (entre 154 km/h y 177 km/h)
- Daños en los techos
- Daños en algunos árboles
- Crecida: entre 1,8 metros y 2,4 metros más de lo normal
Categoría 3 (entre 178 km/h y 209 km/h)
- Casas dañadas
- Severas inundaciones
- Crecida: entre 2,5 metros y 3,7 más de lo normal)
Categoría 4 (entre 210 km/h y 249 km/h)
- Algunos tejados completamente destruidos
- Daños estructurales importantes en las casas
- Crecida: entre 4 metros y 5,5 más delo normal.
Categoría 5 (más de 250 km/h)
- Edificios seriamente dañados
- Inundaciones importantes ya lajos de la costa
- Crecida: superior a 5,5 metros más de lo normal

